77 York Street, Queenton, QLD, 4820

  • 4 BED
  • 1 BATH
  • 1 CAR

SELLING 'AS IS', OPPORTUNITY PLUS!

This property is to be sold AS IS, (Not subject to a building and Pest Inspection).
Potential buyers can request a copy of a building and pest report.

Here is an ideal opportunity for investors to own property in Charters Towers.
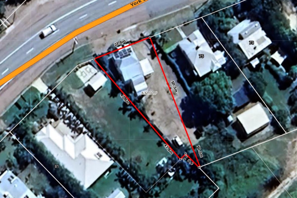
Located on a 632 sq. m allotment is this high set 4 bedroom home.
It features a new roof, full air-conditioning, a great-sized deck off the kitchen and additional storage and the laundry underneath.
Currently the tenant is paying $360 per week until the 04/03/2026.
There’s a good-sized living and dining room at the front, the kitchen in the middle and the bathroom and separate toilet towards the rear. (See the attached floorplan.)
Buyers looking for a great investment property need look no further than this home.
Call for more information today.


Property Details
Property Type: Residential
Land Area: 632 SQM

Property Location